トップ > 不動産情報
不動産情報(売買)
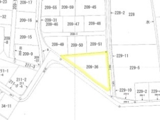
富岡町本岡 売地双葉郡富岡町大字本岡字王塚 |
■お問い合せ 0240-23-5699 東北技研工業株式会社 不動産部 |
| 所在地 | 双葉郡富岡町大字本岡字王塚 |
|---|---|
| 間取 | - |
| 入居可能日 | 即 |
| 価格 | 1,200万円 |
| 敷地面積 | 957.18m²(289.55坪) |
| 建物面積 | - |
| 構造 | - |
| 築年 | - |
| 状況 | 更地 |
| 交通 | JR常磐線 夜ノ森駅から徒歩19分 |
|---|---|
| 接道 | 東側公道 間口25.00m 幅員5.2m 南西側公道 間口30.00m 幅員5.8m |
| 地目 | 宅地 |
| 都市計画 | 非線引き区域 |
| 取引態様 | 媒介 |
| 建ぺい率・容積率 | 60% / 200% |
| 用途地域 | 第一種中高層住居専用 |
| 入居時期 | 即 |
| 設備 | 上水道 下水道 |
販売店情報
東北技研工業株式会社 不動産部トウホクギケンコウギョウ フドウサンブ
TEL:0240-23-5699
住所:福島県双葉郡楢葉町大字山田岡字根ッ子原6番地2



















